201 Newark Ave | Jersey City, NJ 07302
This feature is unavailable at the moment.
We apologize, but the feature you are trying to access is currently unavailable. We are aware of this issue and our team is working hard to resolve the matter.
Please check back in a few minutes. We apologize for the inconvenience.
- LoopNet Team
This Retail Property is no longer advertised on LoopNet.com.
201 Newark Ave
Jersey City, NJ 07302
Retail Property For Sale

PROPERTY FACTS
Property Type
Retail
Property Subtype
Bank
Building Size
9,994 SF
Building Class
C
Year Built
1928
Tenancy
Single
Building Height
2 Stories
Building FAR
0.72
Lot Size
0.32 AC
Zoning
C-2
Frontage
45’ on Newark Ave
AMENITIES
- Banking
- Corner Lot
- Fenced Lot
- Drive Thru
PROPERTY TAXES
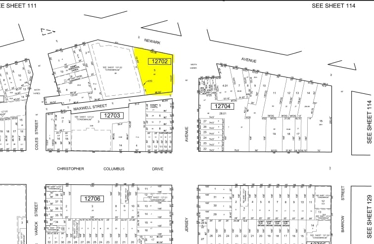
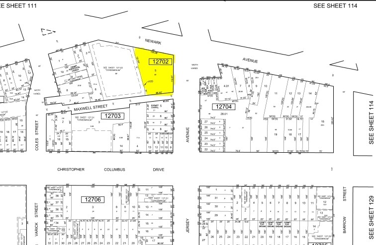
| Parcel Number | 06-12702-0000-00005 | Improvements Assessment | $204,600 |
| Land Assessment | $3,265,000 | Total Assessment | $3,469,600 |
PROPERTY TAXES
Parcel Number
06-12702-0000-00005
Land Assessment
$3,265,000
Improvements Assessment
$204,600
Total Assessment
$3,469,600
Listing ID: 24285991
Date on Market: 10/13/2021
Last Updated:
Address: 201 Newark Ave, Jersey City, NJ 07302
The Downtown Jersey City Retail Property at 201 Newark Ave, Jersey City, NJ 07302 is no longer being advertised on LoopNet.com. Contact the broker for information on availability.
RETAIL PROPERTIES IN NEARBY NEIGHBORHOODS
NEARBY LISTINGS
- 327 Douglass St, Brooklyn NY
- 3136 Summit Ave, Union City NJ
- 1074 Summit Ave, Jersey City NJ
- 60-66 White St, New York NY
- 668 10th Ave, New York NY
- 109 Norfolk St, New York NY
- 105-107 Eldridge St, New York NY
- 94 Avenue C, New York NY
- 95 Elizabeth St, New York NY
- 238 14th St, Jersey City NJ
- 500 4th Ave, Brooklyn NY
- 156-158 Seventh Ave, New York NY
- 1303 Summit Ave, Union City NJ
- 94 Greenwich Ave, New York NY
1 of 1
VIDEOS
MATTERPORT 3D EXTERIOR
MATTERPORT 3D TOUR
PHOTOS
STREET VIEW
STREET
MAP

Link copied
Your LoopNet account has been created!
Thank you for your feedback.
Please Share Your Feedback
We welcome any feedback on how we can improve LoopNet to better serve your needs.X
{{ getErrorText(feedbackForm.starRating, "rating") }}
255 character limit ({{ remainingChars() }} charactercharacters remainingover)
{{ getErrorText(feedbackForm.msg, "rating") }}
{{ getErrorText(feedbackForm.fname, "first name") }}
{{ getErrorText(feedbackForm.lname, "last name") }}
{{ getErrorText(feedbackForm.phone, "phone number") }}
{{ getErrorText(feedbackForm.phonex, "phone extension") }}
{{ getErrorText(feedbackForm.email, "email address") }}
You can provide feedback any time using the Help button at the top of the page.