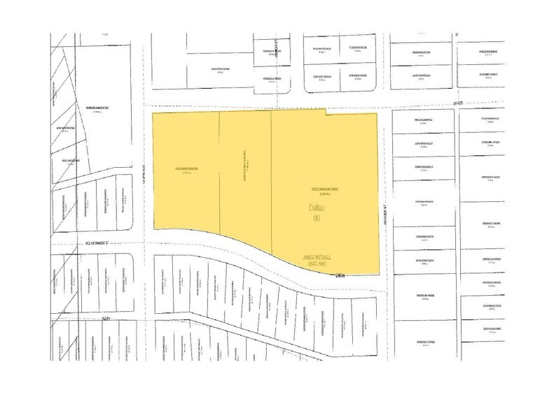
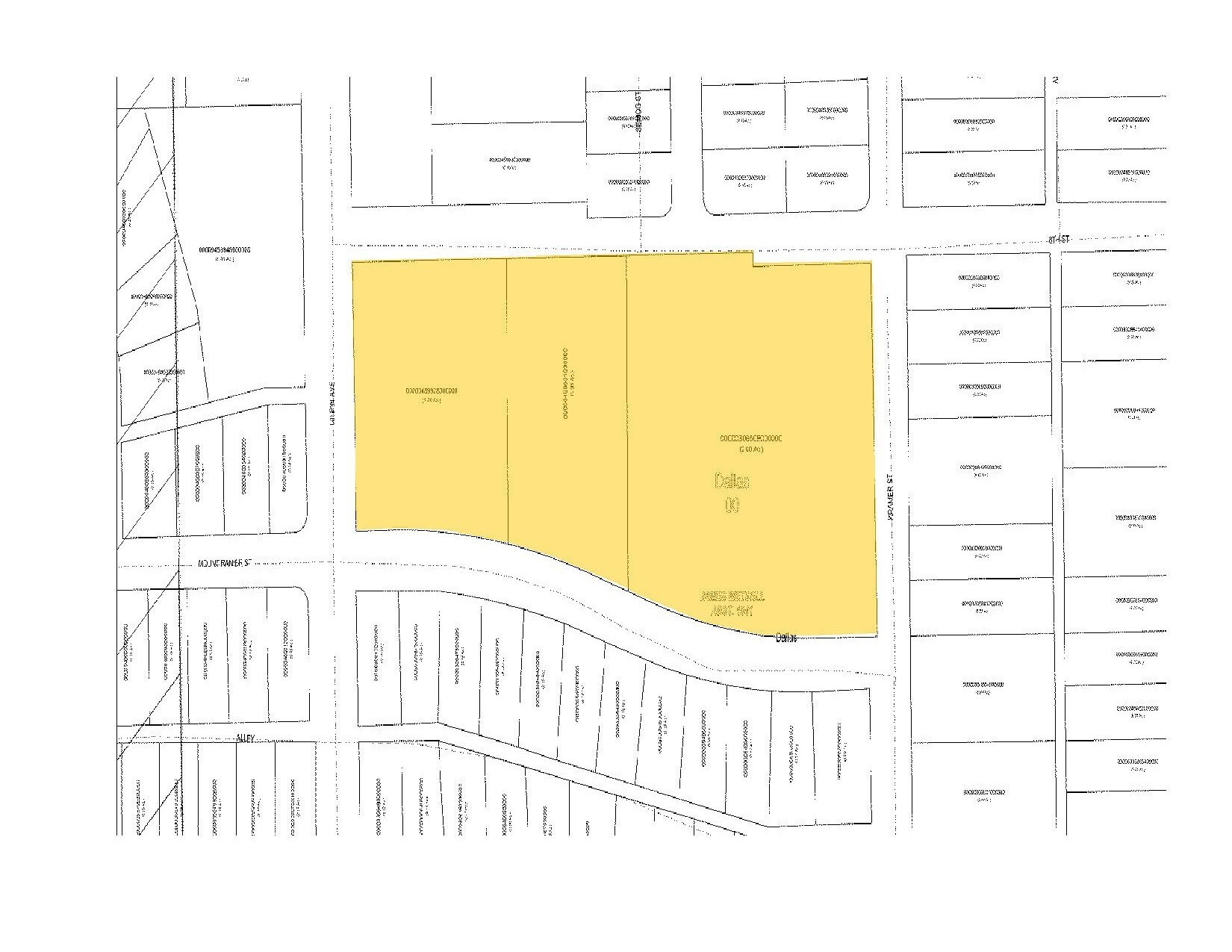
3706 W 8th St | Dallas, TX 75211
This feature is unavailable at the moment.
We apologize, but the feature you are trying to access is currently unavailable. We are aware of this issue and our team is working hard to resolve the matter.
Please check back in a few minutes. We apologize for the inconvenience.
- LoopNet Team
This Multifamily Property is no longer advertised on LoopNet.com.
3706 W 8th St
Dallas, TX 75211
Costa Bella · Multifamily Property For Sale
·
161 Units

PROPERTY FACTS
| No. Units | 161 | Construction Status | Under Renovation |
| Property Type | Multifamily | Building Size | 121,380 SF |
| Property Subtype | Apartment | Average Occupancy | 47% |
| Apartment Style | Garden | No. Stories | 2 |
| Building Class | C | Year Built/Renovated | 1958/2025 |
| Lot Size | 4.68 AC | Parking Ratio | 1.44/1,000 SF |
| Zoning | Z164 | ||
| No. Units | 161 |
| Property Type | Multifamily |
| Property Subtype | Apartment |
| Apartment Style | Garden |
| Building Class | C |
| Lot Size | 4.68 AC |
| Construction Status | Under Renovation |
| Building Size | 121,380 SF |
| Average Occupancy | 47% |
| No. Stories | 2 |
| Year Built/Renovated | 1958/2025 |
| Parking Ratio | 1.44/1,000 SF |
| Zoning | Z164 |
AMENITIES
UNIT AMENITIES
- Air Conditioning
- Cable Ready
- Heating
- Kitchen
- Oven
- Tub/Shower
- Wi-Fi
- Freezer
SITE AMENITIES
- Laundry Facilities
- Playground
- Pool
- Gated
- Laundry Service
- Online Services
UNIT MIX INFORMATION
| DESCRIPTION | NO. UNITS | AVG. RENT/MO | SF |
|---|---|---|---|
| 1+1 | 42 | - | 560 - 742 |
| 2+1 | 39 | - | 800 |
| 2+2 | 74 | - | 858 - 982 |
| 3+2 | 6 | - | 1,281 |
PROPERTY TAXES
| Parcel Numbers |
Multiple
|
Improvements Assessment | $12,826,170 |
| Land Assessment | $1,223,590 | Total Assessment | $14,049,760 |
PROPERTY TAXES
Parcel Numbers
Multiple
- 00000459931000000
- 00000459928000000
- 00000306508000000
Land Assessment
$1,223,590
Improvements Assessment
$12,826,170
Total Assessment
$14,049,760
Listing ID: 26847667
Date on Market: 10/13/2022
Last Updated:
Address: 3706 W 8th St, Dallas, TX 75211
The Mountain View Multifamily Property at 3706 W 8th St, Dallas, TX 75211 is no longer being advertised on LoopNet.com. Contact the broker for information on availability.
MULTIFAMILY PROPERTIES IN NEARBY NEIGHBORHOODS
- Oak Cliff Apartment Buildings
- Northwest Dallas Apartment Buildings
- Uptown/Park Cities Apartment Buildings
- West Dallas Apartment Buildings
- Southeast Dallas Apartment Buildings
- Knox Henderson Apartment Buildings
- Old East Dallas Apartment Buildings
- Lower Greenville Apartment Buildings
- Lake Cliff Apartment Buildings
- The Cedars Apartment Buildings
- La Bajada/Trinity Groves Apartment Buildings
- Cityplace Apartment Buildings
- Love Field Apartment Buildings
- Oak Lawn Apartment Buildings
- Uptown Dallas Apartment Buildings
1 of 1
VIDEOS
MATTERPORT 3D EXTERIOR
MATTERPORT 3D TOUR
PHOTOS
STREET VIEW
STREET
MAP

Link copied
Your LoopNet account has been created!
Thank you for your feedback.
Please Share Your Feedback
We welcome any feedback on how we can improve LoopNet to better serve your needs.X
{{ getErrorText(feedbackForm.starRating, "rating") }}
255 character limit ({{ remainingChars() }} charactercharacters remainingover)
{{ getErrorText(feedbackForm.msg, "rating") }}
{{ getErrorText(feedbackForm.fname, "first name") }}
{{ getErrorText(feedbackForm.lname, "last name") }}
{{ getErrorText(feedbackForm.phone, "phone number") }}
{{ getErrorText(feedbackForm.phonex, "phone extension") }}
{{ getErrorText(feedbackForm.email, "email address") }}
You can provide feedback any time using the Help button at the top of the page.