This feature is unavailable at the moment.
We apologize, but the feature you are trying to access is currently unavailable. We are aware of this issue and our team is working hard to resolve the matter.
Please check back in a few minutes. We apologize for the inconvenience.
- LoopNet Team
Dale Rd
Modesto, CA 95356
Land For Sale
·
3.90 AC

PROPERTY FACTS
DESCRIPTION
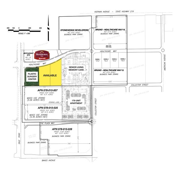
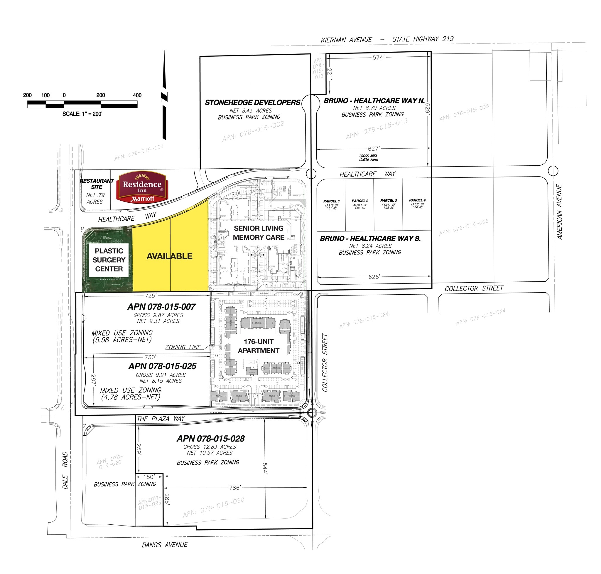
This offering is for a finished parcel zoned C-2 (general commercial) complete with roads, utilities, sewer, water and sidewalk. Adjacent to the development currently underway that includes a Plastic Surgery Center, Marriott Residence Inn, Senior Living Community, Memory Care and High End Apartments. Located across from Kasier Medical Center on Dale and Healthcare Way.
Listing ID: 6477704
Date on Market: 3/27/2017
Last Updated:
Address: Dale Rd, Modesto, CA 95356
The North Modesto Land Property at Dale Rd, Modesto, CA 95356 is no longer being advertised on LoopNet.com. Contact the broker for information on availability.
LAND PROPERTIES IN NEARBY NEIGHBORHOODS
