This Land Property is no longer advertised on LoopNet.com.
Highway 395 & Colusa Rd
Adelanto, CA 92301
Land For Sale
·
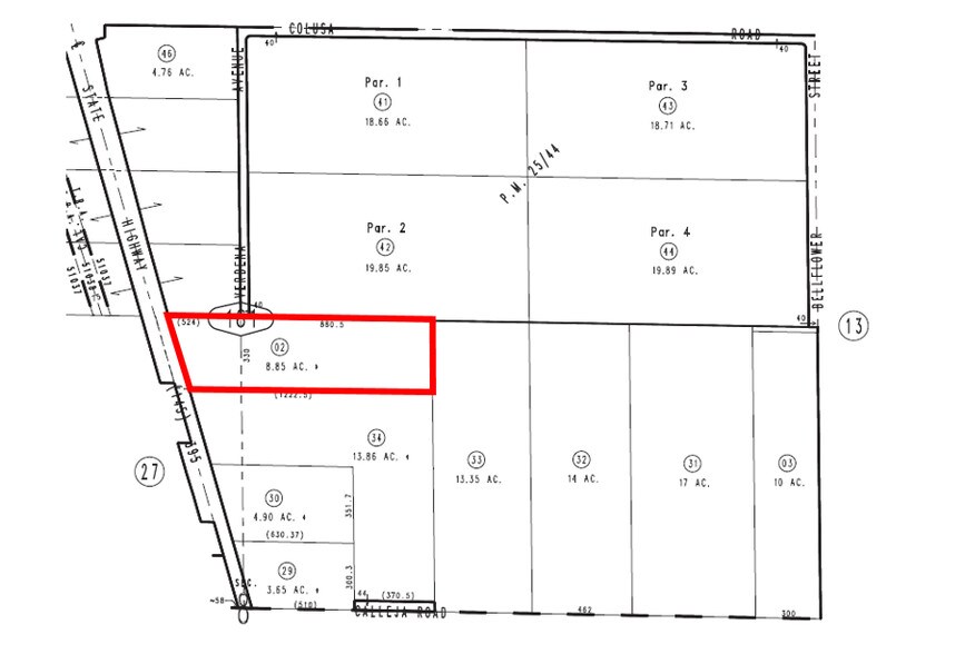
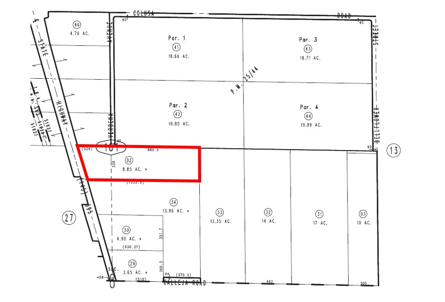
8.85 AC

PROPERTY FACTS
| Property Type | Land |
| Property Subtype | Residential |
| Proposed Use | Single Family Residence |
| Total Lot Size | 8.85 AC |
PROPERTY TAXES
| Parcel Number | 0460-161-02 | Improvements Assessment | $0 |
| Land Assessment | $62,220 | Total Assessment | $62,220 |
Listing ID: 9037970
Date on Market: 9/6/2017
Last Updated:
Address: Highway 395 & Colusa Rd, Adelanto, CA 92301
The Land Property at Highway 395 & Colusa Rd, Adelanto, CA 92301 is no longer being advertised on LoopNet.com. Contact the broker for information on availability.
NEARBY LISTINGS
- 0 Jonathan St, Adelanto CA
- 0 Air Expressway, Adelanto CA
- 17020 Raccoon Ave, Adelanto CA
- 9998 Air Base Rd, Adelanto CA
- SEC of Air Expressway & Muskrat, Adelanto CA
- Yucca Rd & Hwy 395 Hwy, Adelanto CA
- Air Expressway Blvd, Adelanto CA
- Industrial Green Parks, Adelanto CA
- Highway 395, Adelanto CA
- 0 US-395, Adelanto CA
- 17650 Koala dr, Adelanto CA
- Joshua Ave, Adelanto CA
- Bellflower St, Adelanto CA
- 0 Cassia ( SW corner Richardson Rd. ), Adelanto CA
- 0459-433-19 Yucca Rd, Adelanto CA
